オプティム、ランドログ、コマツ 「平成30年7月豪雨」の災害支援として、 被災状況の把握を目的としたドローン測量を無償で実施
コマツの「EverydayDrone」とオプティムの「DRONE CONNECT」を活用
西日本を中心とする「平成30年7月豪雨」により被災された皆さまに、心よりお見舞い申し上げます。
株式会社オプティム(本社:東京都港区、代表取締役社長:菅谷 俊二、以下 オプティム)ならびに株式会社ランドログ(本社:東京都港区、代表取締役社長:井川 甲作、以下 ランドログ)、コマツ(本社:東京都港区、代表取締役社長兼CEO:大橋 徹二)の3社は、「平成30年7月豪雨」の災害支援として、自治体の方々へ向けて、被災状況の把握を目的としたドローン測量を2018年8月3日より無償で実施いたします。なお、本支援は、オプティムの「DRONE CONNECT」と、コマツの「EverydayDrone」を活用して提供されます。
本支援を活用することで、人員を割り当てることなく、被災状況を素早く可視化・把握することが可能となります。

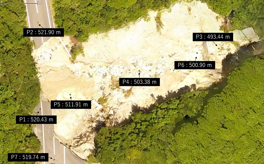
被災状況確認イメージ
被災状況確認イメージ 2
https://www.atpress.ne.jp/releases/162884/img_162884_2.png
■各社の役割
オプティム: ドローンパイロットシェアリングサービス「DRONE CONNECT」に
登録しているプロフェッショナルドローンパイロットの無償派遣
ランドログ: データプラットフォームの無償提供
コマツ : 3D現況測量データ生成サービス「EverydayDrone」と、
スマートコンストラクションアプリの無償提供
■申し込み期間
2018年8月3日(金)~2018年9月3日(月) ※1
■申し込み方法
「平成30年7月豪雨」の被災自治体の皆さまが対象となります※2。必要項目(住所・氏名・利用用途など)を記載し、下記フォームより申し込みください。詳細は申し込み後、メールにてご案内させていただきます。
▼申込みフォームURL
https://goo.gl/forms/oRBPtlmG2yoO0IiX2
オプティム、ランドログ、コマツの3社は、被災地の一日も早い復旧を心よりお祈り申し上げるとともに、被災者救済や被災地復興のお役に立てるよう、積極的な支援を行ってまいります。
「EverydayDrone」サービスの詳細については下記Webサイトをご確認ください。
「EverydayDrone」プレスリリースページ:
https://home.komatsu/jp/press/2018/others/1199252_1599.html
「DRONE CONNECT」の詳細については以下サービスページをご確認ください。
「DRONE CONNECT」β版サービスページ:
https://www.optim.co.jp/drone-connect
※1 状況に応じて提供期間は変更する可能性があります。
※2 申し込みが多数となった場合、すべての申し込みにお応えできない可能性がございます。また、お申込内容によっては対象外となる可能性がございます。
【株式会社オプティムについて】
商号 : 株式会社オプティム
上場市場 : 東京証券取引所市場第一部
証券コード: 3694
URL : https://www.optim.co.jp/
佐賀本店 : 佐賀県佐賀市本庄町1 オプティム・ヘッドクォータービル
東京本社 : 東京都港区海岸1丁目2番20号 汐留ビルディング 21階
代表者 : 菅谷 俊二
設立 : 2000年6月
資本金 : 443百万円
事業内容 : ライセンス販売・保守サポートサービス(オプティマル)事業
(IoTプラットフォームサービス、リモートマネジメントサービス、
サポートサービス、その他サービス)
【株式会社ランドログについて】
商号 : 株式会社ランドログ
URL : https://www.landlog.info/
本社 : 東京都港区海岸1丁目2番20号 汐留ビルディング 15階
代表者 : 井川 甲作
資本金 : 150百万円
事業内容: 建設生産プロセスに関するIoTプラットフォームの事業
(各種データの収集、編集及び蓄積等を行う、
ITシステムの企画、開発、運用)
【コマツについて】
商号 : コマツ(株式会社小松製作所)
URL : https://home.komatsu/jp/
本社 : 東京都港区赤坂2-3-6
代表者 : 大橋 徹二
資本金 : 678億70百万円
事業内容: 建設・鉱山機械、ユーティリティ(小型機械)、
林業機械、産業機械等の製造・販売
【Copyright・商標】
※記載の会社名および製品名は、各社の登録商標および商標です。
※本プレスリリースに記載された情報は、発表日現在のものです。商品・サービスの料金、サービス内容・仕様、お問い合わせ先などの情報は予告なしに変更されることがありますので、あらかじめご了承ください。
























