無人機搭載用リモートサーモカメラのプロトモデルを開発 わずか400gでマルチコプター(ドローン)への搭載に最適
~ 太陽光パネルの点検・ビル外壁診断・インフラ維持管理に ~
商品
2015年4月8日 13:30 日本アビオニクス株式会社(本社:東京都品川区、社長:秋津 勝彦)は、マルチコプター(通称 ドローン)や災害用ロボットなどの無人機への搭載を目的とした、小型・軽量の赤外線サーモグラフィカメラ「リモートサーモカメラ」のプロトモデル(以下 本試作機)を開発し、テスト販売を開始しました。
本試作機は、わずか400gの小型・軽量ボディに200万画素の可視カメラとSDカードスロットを内蔵した、高性能な赤外線サーモグラフィカメラです。320×240画素の高性能な赤外線画像センサを搭載し、温度分解能0.04℃の非常に高画質な熱画像を取得することが可能です。画像データはSDカードに直接記録することができるため、無人機搭載時に画像データを無線伝送する際の通信障害などによるデータ欠落の恐れがありません。ワンショット、インターバル、動画の3つの記録モードを有し、外部信号による記録の開始や終了、コマンドによるフォーカス等の遠隔制御にも対応しています。さらに、ワンショット、インターバル記録モードでは、熱画像と同じアングルの可視画像を記録することが可能です。
当社は、本試作機の開発により、太陽光パネルの点検やビル外壁診断、橋梁点検などのインフラ維持管理など、無人機との組合せにおけるフィールドソリューションを強化し、新たな領域での社会貢献を目指してまいります。
<リモートサーモカメラの外観イメージ>
http://www.atpress.ne.jp/releases/59854/img_59854_1.jpg
<マルチコプターとの組合せによるビル外壁診断風景>
http://www.atpress.ne.jp/releases/59854/img_59854_3.png
■「リモートサーモ」プロトモデル(試作機)の概要
<主な特徴>
(1) 320×240画素、温度分解能0.04℃の高画質な赤外線画像センサを搭載しています。
(2) -40~1,500℃のワイドな測定温度範囲により、コンクリート橋梁やビル外壁の診断から、火山監視等の高温状況調査まで、様々なアプリケーションにご利用いただけます。
(3) 無人機からの接点信号をトリガに、SDカードへの記録開始・終了が行えます。
(4) 記録モードは、ワンショット記録/インターバル記録(最速3秒~)/動画記録(最速10フレーム/秒~)の3モードから選択できます。
(5) 200万画素の可視カメラを搭載し、熱画像と同一アングルの可視画像を記録することが可能です(ワンショット、インターバル記録モードのみ)。
(6) 画像データを本体のSDカードへ直接記録するため、ワイヤレス伝送時の通信障害などによるデータ欠落の心配がありません。
(7) PCに大量の通信データを記録する必要が無く、必要なデータのみをSDカードに記録できるため、効率的なデータ解析が可能です。
(8) ビデオ出力により、カメラの映像を地上からモニタリングすることが可能です(別途、伝送装置が必要)。
(9) フォーカスや温度スケール、サーモグラフィと可視画像の表示切り替えなどを、RS232Cのコマンドで制御可能です。
(10) 可視カメラやSDカードスロットを搭載してもわずか400gの小型・軽量設計で、無人機のバッテリ消費を最小化します。
(11) 省電力設計により、オプションの長時間バッテリセット使用時で最長約8時間の連続駆動が可能です(連続駆動時間は使用条件と気象条件に依存します)。
<実際のマルチコプターへの搭載イメージ>
http://www.atpress.ne.jp/releases/59854/img_59854_2.jpg
<想定アプリケーションイメージ>
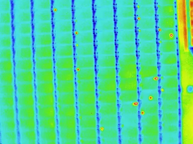
(1) ソーラーパネルの点検
・ソーラーパネル 可視
http://www.atpress.ne.jp/releases/59854/img_59854_4.jpg
・ソーラーパネル 赤外線
http://www.atpress.ne.jp/releases/59854/img_59854_5.jpg
(2) 構造物の剥離診断
・コンクリート橋梁 可視
http://www.atpress.ne.jp/releases/59854/img_59854_6.jpg
・コンクリート橋梁 赤外線
http://www.atpress.ne.jp/releases/59854/img_59854_7.jpg
■会社概要
商号 : 日本アビオニクス株式会社
代表者 : 秋津 勝彦
所在地 : 〒141-0031 東京都品川区西五反田8-1-5 五反田光和ビル
設立 : 昭和35(1960)年4月
資本金 : 58億9千5百万円
事業内容: 情報システム、接合機器、プリント配線板、
赤外・計測製品の製造販売
URL : http://www.avio.co.jp/
本試作機は、わずか400gの小型・軽量ボディに200万画素の可視カメラとSDカードスロットを内蔵した、高性能な赤外線サーモグラフィカメラです。320×240画素の高性能な赤外線画像センサを搭載し、温度分解能0.04℃の非常に高画質な熱画像を取得することが可能です。画像データはSDカードに直接記録することができるため、無人機搭載時に画像データを無線伝送する際の通信障害などによるデータ欠落の恐れがありません。ワンショット、インターバル、動画の3つの記録モードを有し、外部信号による記録の開始や終了、コマンドによるフォーカス等の遠隔制御にも対応しています。さらに、ワンショット、インターバル記録モードでは、熱画像と同じアングルの可視画像を記録することが可能です。
当社は、本試作機の開発により、太陽光パネルの点検やビル外壁診断、橋梁点検などのインフラ維持管理など、無人機との組合せにおけるフィールドソリューションを強化し、新たな領域での社会貢献を目指してまいります。
<リモートサーモカメラの外観イメージ>
http://www.atpress.ne.jp/releases/59854/img_59854_1.jpg
<マルチコプターとの組合せによるビル外壁診断風景>
http://www.atpress.ne.jp/releases/59854/img_59854_3.png
■「リモートサーモ」プロトモデル(試作機)の概要
<主な特徴>
(1) 320×240画素、温度分解能0.04℃の高画質な赤外線画像センサを搭載しています。
(2) -40~1,500℃のワイドな測定温度範囲により、コンクリート橋梁やビル外壁の診断から、火山監視等の高温状況調査まで、様々なアプリケーションにご利用いただけます。
(3) 無人機からの接点信号をトリガに、SDカードへの記録開始・終了が行えます。
(4) 記録モードは、ワンショット記録/インターバル記録(最速3秒~)/動画記録(最速10フレーム/秒~)の3モードから選択できます。
(5) 200万画素の可視カメラを搭載し、熱画像と同一アングルの可視画像を記録することが可能です(ワンショット、インターバル記録モードのみ)。
(6) 画像データを本体のSDカードへ直接記録するため、ワイヤレス伝送時の通信障害などによるデータ欠落の心配がありません。
(7) PCに大量の通信データを記録する必要が無く、必要なデータのみをSDカードに記録できるため、効率的なデータ解析が可能です。
(8) ビデオ出力により、カメラの映像を地上からモニタリングすることが可能です(別途、伝送装置が必要)。
(9) フォーカスや温度スケール、サーモグラフィと可視画像の表示切り替えなどを、RS232Cのコマンドで制御可能です。
(10) 可視カメラやSDカードスロットを搭載してもわずか400gの小型・軽量設計で、無人機のバッテリ消費を最小化します。
(11) 省電力設計により、オプションの長時間バッテリセット使用時で最長約8時間の連続駆動が可能です(連続駆動時間は使用条件と気象条件に依存します)。
<実際のマルチコプターへの搭載イメージ>
http://www.atpress.ne.jp/releases/59854/img_59854_2.jpg
<想定アプリケーションイメージ>
(1) ソーラーパネルの点検
・ソーラーパネル 可視
http://www.atpress.ne.jp/releases/59854/img_59854_4.jpg
・ソーラーパネル 赤外線
http://www.atpress.ne.jp/releases/59854/img_59854_5.jpg
(2) 構造物の剥離診断
・コンクリート橋梁 可視
http://www.atpress.ne.jp/releases/59854/img_59854_6.jpg
・コンクリート橋梁 赤外線
http://www.atpress.ne.jp/releases/59854/img_59854_7.jpg
■会社概要
商号 : 日本アビオニクス株式会社
代表者 : 秋津 勝彦
所在地 : 〒141-0031 東京都品川区西五反田8-1-5 五反田光和ビル
設立 : 昭和35(1960)年4月
資本金 : 58億9千5百万円
事業内容: 情報システム、接合機器、プリント配線板、
赤外・計測製品の製造販売
URL : http://www.avio.co.jp/


















